Description
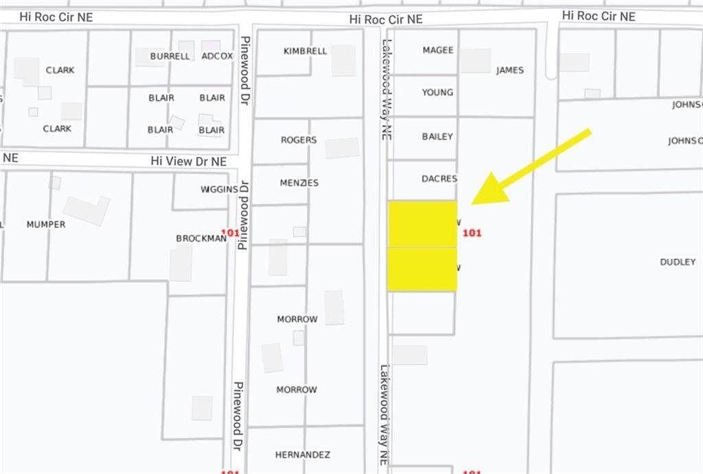
LOTS FOR SALE! This lot is being sold along with Lot 638, Tax ID #063-0-15-0007 for a total acreage of 0.34 acres. Price reflects the listing price for the two lots. Build your home and enjoy the two private lakes and amenities of the Hi Roc Shores neighborhood, or simply enjoy the amenities by being a property owner in the community. Convenient to I-20, schools and shopping.
-
0BEDS
-
0.17ACRES
-
0BATHS
-
01/2 BATHS
School Information
Description
LOTS FOR SALE! This lot is being sold along with Lot 638, Tax ID #063-0-15-0007 for a total acreage of 0.34 acres. Price reflects the listing price for the two lots. Build your home and enjoy the two private lakes and amenities of the Hi Roc Shores neighborhood, or simply enjoy the amenities by being a property owner in the community. Convenient to I-20, schools and shopping.
Related Properties
Listings identified with the FMLS IDX logo come from FMLS, are held by brokerage firms other than the owner of this website and the listing brokerage is identified in any listing details. Information is deemed reliable but is not guaranteed.
If you believe any FMLS listing contains material that infringes your copyrighted work, please click here to review our DMCA policy and learn how to submit a takedown request.
© 2026 First Multiple Listing Service, Inc. Data last updated 2026-03-09T22:03:38.447. For issues regarding this website, please contact BoomTown.
